この記事は
こちらの記事の続きです
新幹線の改札の中まで
お見送り?
やだよ、そんな
ドラマチックな別れは。
そう言って
とりあえず断った
ちゃーくん
「えぇ・・・」

「ピーンポーン」
そんな話をしていると
家のインターホンが鳴った

大家さんの立会いのもと
業者さんが部屋の状態を
チェックしてもらう時間だ
大阪の社宅のときは
なんの問題もなく
退去できたけれど....
今回はなんだか
雲行きがあやしい

業者さん
「はい、完了です!」
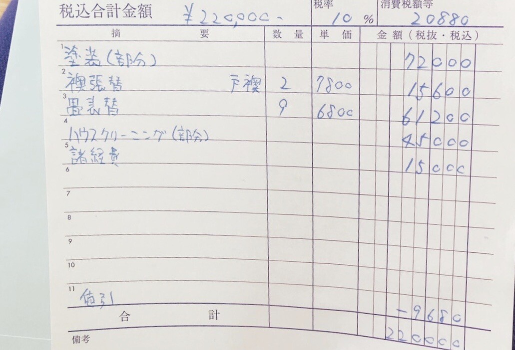
「合計で・・・」

に・・・にじゅうに・・・?
うそでしょ?
たったの2年しか
いなかったのに・・・?

内訳は
こんな感じだった

畳の部屋は
ほとんど使ってなかったけれど
カーテンの隙間から日が漏れて
色が変わってしまった部分を
変えなきゃいけないそうだ
なんてこった
ただっち
「あの、塗装って・・・?」
業者さん
「ああ・・・」

その小バエのような
小さな汚れ・・・
本当に一面全部
塗り替えなくちゃ
いけないの・・・?
突然の出費に
放心状態になっていると
大家さんはこう言った
大家さん
「みなさん普通は50万くらい
かかりますので」
「とってもキレイに使われていて
びっくりしましたよ〜」
そんな感じで
褒めてもらったけど
なにも嬉しくなかった
退去費って一般的に
こんなに厳しいものなのだろうか
よくわからなくて
イライラ&放心状態で
退去し、駅へと向かった

ちゃーくんとお別れまで
電車に乗って...
あと20分だ
ドラマチックなお別れは
絶対イヤだけど
こんな変な雰囲気で
お別れの方が
もっとイヤだなって思った
つづく
今日はお知らせのために
もう一度更新する予定です
ラインで更新通知を
受け取ることができます
ともやっています
よければぜひ〜!
インスタの
では
一人暮らしの様子を
あげたりしています。
今年の2月にこんな本を
出版しました

最初は
東大の学部の方を
目指していたのですが...
学部の方を
そのまま受けていたら
落ちていたと思います😟

最近読み返しましたが
そのときの気持ちが
包み隠さず書いてあって
恥ずかしくなったと同時に
初心にかえって頑張ろうという
気持ちになりました🙌
人生思いっきり変えてみたい!
そんなことを考えたことがある方に
おすすめの一冊です☺︎
アマゾンに飛ぶ
楽天に飛ぶ
それでは、また〜!
こちらの記事の続きです
新幹線の改札の中まで
お見送り?
やだよ、そんな
ドラマチックな別れは。
そう言って
とりあえず断った
ちゃーくん
「えぇ・・・」
「ピーンポーン」
そんな話をしていると
家のインターホンが鳴った
大家さんの立会いのもと
業者さんが部屋の状態を
チェックしてもらう時間だ
大阪の社宅のときは
なんの問題もなく
退去できたけれど....
今回はなんだか
雲行きがあやしい
業者さん
「はい、完了です!」
「合計で・・・」
に・・・にじゅうに・・・?
うそでしょ?
たったの2年しか
いなかったのに・・・?
内訳は
こんな感じだった
畳の部屋は
ほとんど使ってなかったけれど
カーテンの隙間から日が漏れて
色が変わってしまった部分を
変えなきゃいけないそうだ
なんてこった
ただっち
「あの、塗装って・・・?」
業者さん
「ああ・・・」
その小バエのような
小さな汚れ・・・
本当に一面全部
塗り替えなくちゃ
いけないの・・・?
突然の出費に
放心状態になっていると
大家さんはこう言った
大家さん
「みなさん普通は50万くらい
かかりますので」
「とってもキレイに使われていて
びっくりしましたよ〜」
そんな感じで
褒めてもらったけど
なにも嬉しくなかった
退去費って一般的に
こんなに厳しいものなのだろうか
よくわからなくて
イライラ&放心状態で
退去し、駅へと向かった
ちゃーくんとお別れまで
電車に乗って...
あと20分だ
ドラマチックなお別れは
絶対イヤだけど
こんな変な雰囲気で
お別れの方が
もっとイヤだなって思った
つづく
今日はお知らせのために
もう一度更新する予定です
ラインで更新通知を
受け取ることができます
ともやっています
よければぜひ〜!
インスタの
では
一人暮らしの様子を
あげたりしています。
今年の2月にこんな本を
出版しました
最初は
東大の学部の方を
目指していたのですが...
学部の方を
そのまま受けていたら
落ちていたと思います😟
最近読み返しましたが
そのときの気持ちが
包み隠さず書いてあって
恥ずかしくなったと同時に
初心にかえって頑張ろうという
気持ちになりました🙌
人生思いっきり変えてみたい!
そんなことを考えたことがある方に
おすすめの一冊です☺︎
アマゾンに飛ぶ
楽天に飛ぶ
それでは、また〜!
コメント
コメント一覧 (14)
普通に生活してる範囲内での通常損耗わ経年劣化については、原状回復義務はありませんよ!
この点、誤解されたまま支払う方が多発していたため、今年4月からの改正民法でもきちっと規定されました。
今後賃貸物件を契約される際はご注意ください。
というか普通は交渉して引き下がらなければ裁判所に持ち込みます。それで大体引き下がりますよ。
畳の日焼けなんか経年劣化のうちだし、壁紙は1年ごとに償却で額が下がっていくので、細かいことは忘れましたがある程度住めば全貼り替えでも借主負担ゼロのはずです。
普通の壁でもその辺一緒だと思います。
よっぽど異常な使い方しない限り普通は借主ゼロ負担のはずです。
私はめちゃくちゃな使い方しましたが10万でした。
ぼられましたね。今時有り得ない請求です。
タバコのやにで汚れたとしても、今は請求難しいですよ。(替わりに禁煙割引で対応)
今からでも返還請求検討してはいかがでしょう?
いつも 楽しみに読んでます。
私も主人の転勤で何回か引越をしていますが 社宅扱いで借りていて引越すると 社宅扱いだからなのか?26万位の請求になった時がありました。(2年しか住んでなく、その頃は小さい子供が2人の4人です。)しかも同じアパートに住んでいて 友達になった人たちが 半年後位に 引越した時は 6万位だったと言ってました。(社宅扱いではなく個人で賃貸 、猫も飼ってて 小さい子供が2人、4年~5年住んでいた。)
社宅扱いって事で 会社が契約してるからって 高く請求してきたのかなぁって今では思います。全部会社が払ってくれるほど 高待遇な会社じゃありませんので、その時は 支払いましたが みんなに聞いてみると 絶対ぼったくられてるよって言ってました。ずいぶん前の話です。ただっちさん、交渉した方がいいと思います。
引越し何回もしてますが22万なんて請求されたことないですよ。
通常の使用及び収益によって生じた賃借物の損耗並びに賃借物の経年変化を除く
という条文がありますので、その請求は違法な可能性が高いと思われます。専門家に相談してもいいかもしれませんね。
かなり不服だったので職場にも伝えたのですが、
これまでの人たちもその基準で実費で退去費を払ってきたので
職場の経費で落とすことはできない..と言われてしまいました。
でも改正民法が夫の職場でもちゃんと適応されているなら、おかしいですよね
50万よりかはマシだった...と思って諦めてたのですが、
大きな額なので弁護士さんに相談してみようかと思います!
教えてくださってありがとうございます😢
この場合具体的にただっちさんはどうするのが正解だったのでしょうか
自分もおかしいと思っても言われたまま払ってしまうかも...
宅建協会が無料相談してくれますよ!
もちろん弁護士さんの方がいいですが…
せっかくの門出なのに腹立ちますね!